thettctransitfanatic
Senior Member
I imagine that there is gonna be a lot of confusion on Monday.
Now that's something I can strongly agree with. Unfortunately, the vision for Etobicoke City Centre is pretty lackluster and uninspiring, thanks to our unimaginative city councilor.If only they could put in a NEW and IMPROVED, now with IMAX, Westwood Theatre at Six Points.

The current arrangement doesn't exactly match the image that was floated around.
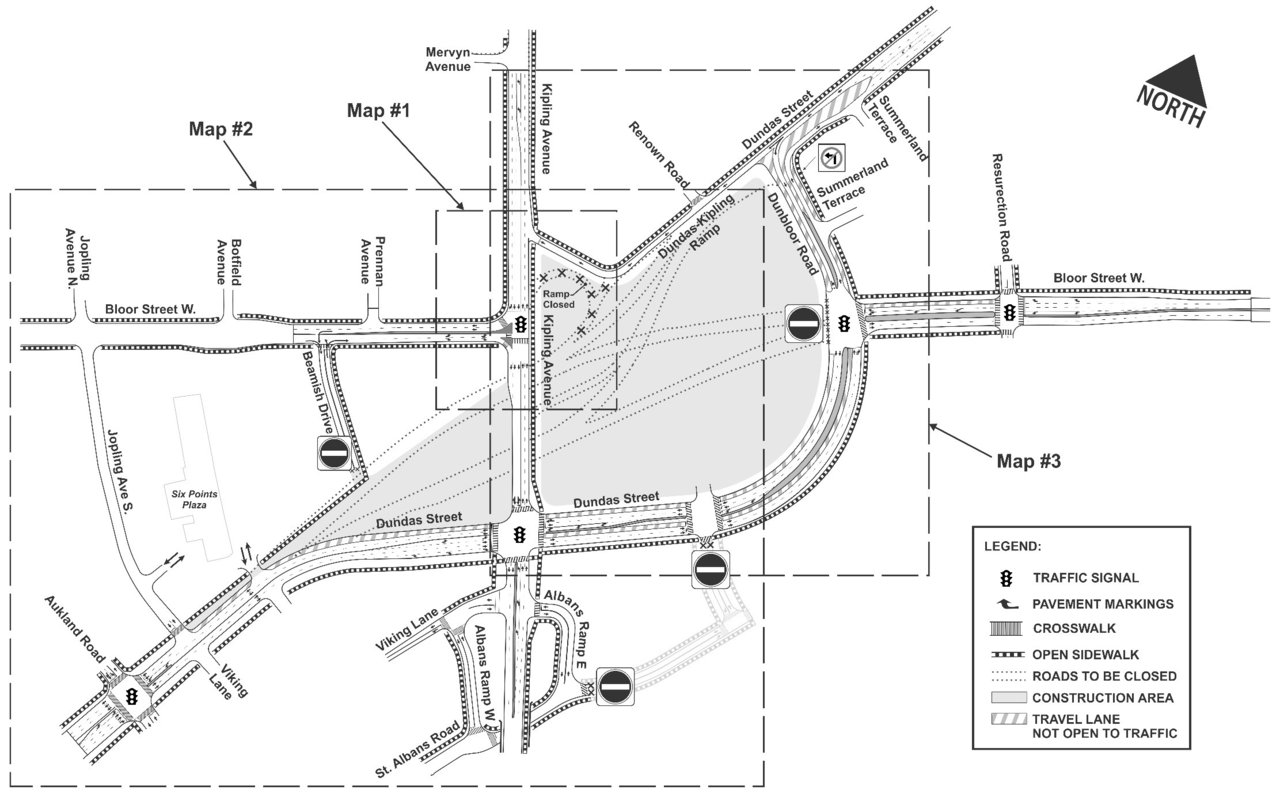
I am surprised Bloor WB to Dundas is only a single left turn lane. Also for some reason at this same intersection, Dundas NB and Dunbloor SB were on separate signal phases, adding even more delay to Bloor WB traffic (which was backed up east of Islington).
Kipling was also only 1 NB lane (instead of two) leading to large backups and unsafe merges.
Hopefully they can clean things up this week.
View attachment 174899
The current arrangement doesn't exactly match the image that was floated around.
I am surprised Bloor WB to Dundas is only a single left turn lane. Also for some reason at this same intersection, Dundas NB and Dunbloor SB were on separate signal phases, adding even more delay to Bloor WB traffic (which was backed up east of Islington).
Kipling was also only 1 NB lane (instead of two) leading to large backups and unsafe merges.
Hopefully they can clean things up this week.
View attachment 174899
Yes it should be! Once they do this, they would also need to open up Bloor WB to two lanes at Resurrection Rd like shown in the picture, but as of now it is only one lane.The Bloor WB to Dundas WB should be TWO left turn lanes.
![]()
Was Bloor Westbound to Dundas Westbound backed up this morning?
Please correct me but is there enough room to accomodate 2 left hand turning lanes in this area of the six points road network? It seems tight to me.
Thanks
Without seeing the road in person and only looking at the diagram, it seems that the right curb lane has be painted/blocked off. Without a straight lane, two left and one right turn lanes seems possible, but it doesn’t seem like it would fit two left turn, one straight, and one shared straight and right turn lanes.Was Bloor Westbound to Dundas Westbound backed up this morning?
Please correct me but is there enough room to accomodate 2 left hand turning lanes in this area of the six points road network? It seems tight to me.
Thanks




